Хиккадува и Галле
Когда мы еще только собирались в Хиккадуву, я почитал про нее всякие отзывы, и знал, что здесь есть риф с рыбками. Но как-то мы до снорклинга никак не могли добраться...
Когда мы еще только собирались в Хиккадуву, я почитал про нее всякие отзывы, и знал, что здесь есть риф с рыбками. Но как-то мы до снорклинга никак не могли добраться, и даже толком не знали, где он тут.
А он тут есть, рыбок всяких много, жаль, что риф сильно пострадал во время цунами 2006 года и находится на последнем издыхании, живых кораллов на нем практически не осталось. Уже даже на дне ланкийцы прикрепили объявления, призывающие беречь природу и не топтать кораллы, строго запрещено их вывозить из страны, но уже поздно — риф мертв, и сможет ли он восстановиться — непонятно.





Собственно, сам Галле-форт — остатки укреплений. Хотя, какие это остатки — тут вполне сохранившаяся крепость, с толстенными мощными стенами и бастионами, которые еще и реставрируют регулярно, словно до сих пор готовятся отбивать атаки португальцев и англичан. По территории, правда, вместо голландских военных патрулей, ходят организованными толпами китайские туристы — единственное место, кстати, где я их здесь видел, на пляжах они не появляются почему-то, а сюда их прямо автобусами привозят.
Вообще, форт Галле — одно из самых ярких впечатлений от Шри-Ланки, невзирая даже на поездку к чайным плантациям, горам и водопадам.








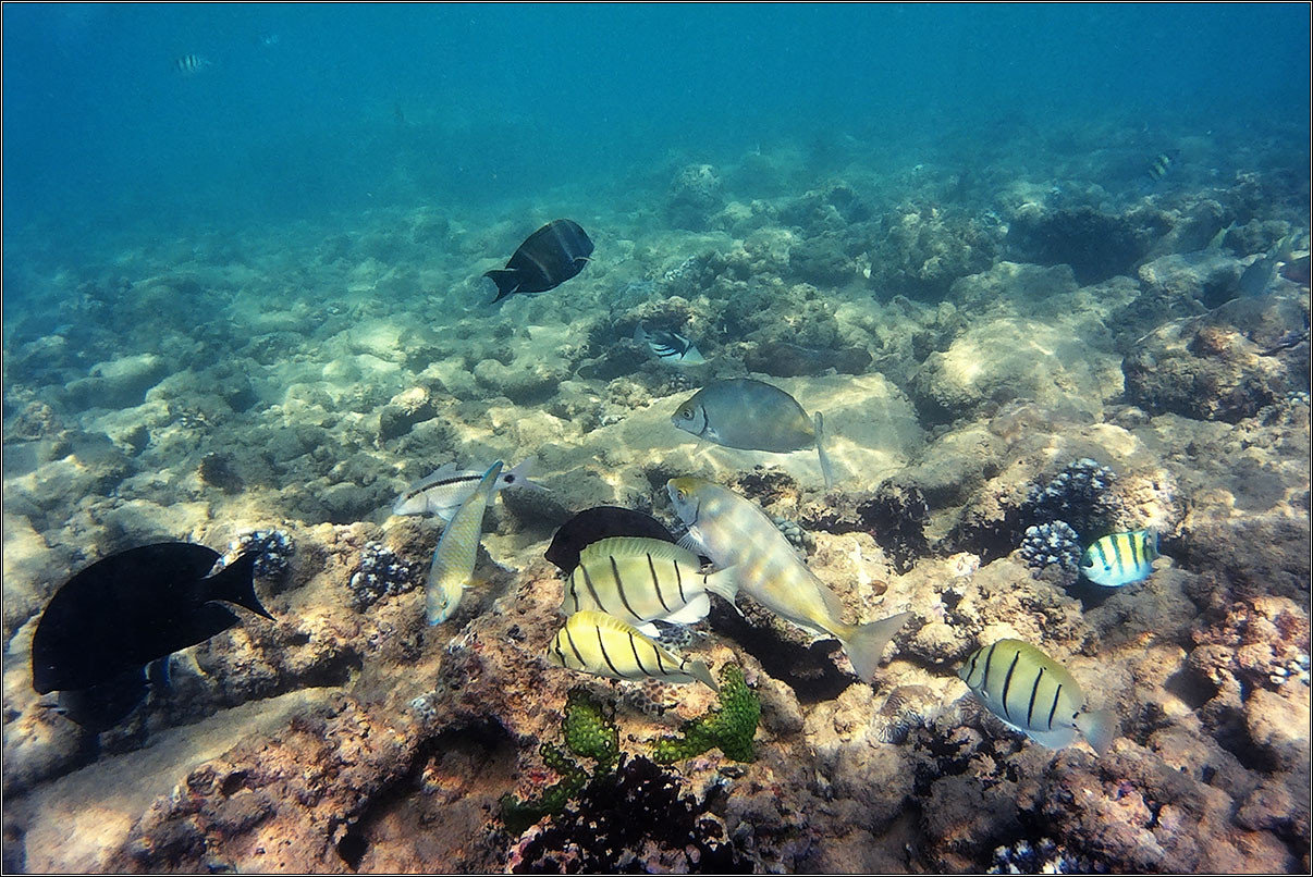
Ну и ещё несколько картинок про подводный мир Хиккадувы — может и не самый интересный в мире, но служащий приятным дополнением к прочим интересностям Шри-Ланки. Универсальная страна — здесь есть все, что нужно для зимовки, причем это все расположено как-то неподалеку :)




И еще про форт Галле, если я вас им еще не достал окончательно :)
Очень уж удачно он расположен: куда бы ты не поехал по побережью, все равно туда заглянешь по дороге.
Пройтись по солнечным улочкам, заглядывая в мелкие магазинчики, посмотреть на море со старой стены, выпить холодного чая на узкой веранде в доме белых колонизаторов, изучить старые фотографии, поправить фигурки резных шахмат на столике, прочувствовать аромат викторианской эпохи…
Колониальный дух здесь — в каждом здании, на каждой улице, в интерьерах и фурнитуре, в аксессуарах и вывесках.
Удивительное место, очень колоритное, прямо как музей под открытым небом.









Разбирая собственные ощущения после возвращения в Москву, я в итоге пришел к выводу, что Шри-Ланка для зимовщика — это страна, максимально похожая на Таиланд. Вплоть до того, что подспудно воспринимается, как просто незнакомый еще регион Таиланда.
Цены на жилье и скутер здесь точно такие же. Горячее блюдо в ресторане стоит 800–1000 рупий, это 250–400 рублей, то есть 120–200 бат, никакой разницы. В местной кафешке порция роти с курицей или мясом — 250–350 рупий, то есть в районе 50 бат, так же как в тайских локалках. Ну вот морепродукты дешевле, да. Зато манго — 450 рупий за кило, это 150 рублей или 75 бат, видали мы в Тае манго и по 50. Но в целом — все то же самое. Единственно — фрукты на Шри-Ланке подвержены сезонности, причем очень сильно. То у всех продавцов вдруг пропадают ананасы. То вдруг ни у кого нет манго. То есть зеленые манго, но нет желтых. То вдруг исчезают бананы, хотя тут они на каждом углу растут, как трава. Всегда и гарантированно в наличии только кокосы, которые тут желтого цвета и режутся простым ножом, что очень удобно.
Дороги в курортной зоне — хорошие, не хуже тайских, особенно если сравнивать с островами. А платные хайвеи и в континентальном Таиланде смотрелись бы как родные. Общественный транспорт поудобнее — вдоль побережья регулярно ходят поезда и автобусы, стоят дешево. Всякие супермаркеты, аптеки, рынки, больницы, заправки и прочая инфраструктура — легкодоступны и удобны. Разве что привычных «севен-элевенов» не хватает.
Море — разное, и с волнами, и без волн, и снорклинг тут, и серфинг, и дайвинг, ну, может, закаты обычно не настолько живописны. Зато дождей в сезон почти нет, только к нашему отъезду они потихоньку стали появляться.
Вообще, природа на Шри-Ланке приятная, особенно в центре острова. Горы, плантации чая, виды и пейзажи — мечта фотографа. Ну вот разве что города типично индийские — шумные, пыльные и суетливые. Зато попадаются иногда кусочки колониальной Европы, каковых в Таиланде нигде не встретишь. Так что я вполне понимаю людей, которые зимуют на Шри-Ланке из года в год, а то и вообще переезжают сюда на ПМЖ. Это страна удобная для жизни, красивая и недорогая… если, конечно, вы не курите. Вот с этим тут засада, 1200 рупий за пачку сигарет — это жесть полная :)








Ну, а мы — вернулись.
Встретились с друзьями в Коломбо, посмотрели на ночную столицу. Я так понял, что зря мы не выделили денек на то, чтобы по ней погулять в нормальном спокойном режиме, а не бегом-бегом за три часа до вылета. Там есть на что посмотреть.
Fly Dubai за пару дней до отъезда заставил нас понервничать, отменив рейс из Дубая в Москву, но оказалось, что это даже к лучшему. Вместо него нас посадили на большой эмиратовский боинг, с едой, вином и развлекательной системой, и даже терминал в аэропорту Дубая у нас был нормальный и современный, а не большой сарай с забегаловками, как на пересадке по пути на остров.
Так что отпуск удался — новую страну посмотрели, фруктов поели, в море искупались. Недолго на этот раз, всего месяц, но может это станет поводом еще куда-нибудь съездить в этом году.
Путешествуйте чаще! :)
